忍者ブログ
繁って!ベランダガーデニング
| Admin | Write | Comment |
ぼさんこについて
何故か本館とは別人名義だよ
HN:
ぼさんこ
性別:
非公開
職業:
ジャングル管理
趣味:
繁らせること
ブログ内検索
季節のぼさセレクトBOOK
この時期おすすめだよ

NHK 趣味の園芸 2011年 06月号 [雑誌]

アジサイの世界―その魅力と楽しみ方

アジサイ図鑑

簡単に美しく咲かせる バラのコンテナガーデン

病害虫を防いで楽しいバラづくり―防除と管理12ヵ月

マダム高木の優雅なバラ―庭で育てた300種&きれいに咲かせるコツ (主婦の友新実用BOOKS)

バラを選ぶバラに合わせたい花のわかる本―庭に素敵なシーンをつくるためのアレンジ術 (Musashi Mook ガーデン&ガーデンMook)

小さい家で楽しむわたしのバラ庭づくり―わが家にあった品種わが家にあわせるせん定

実用のぼさセレクトBOOK
持っている本や欲しい本だよ

花と実の図鑑 8巻セット

まちかど花ずかん 四季折々、散歩で出逢う花の物語

ものぐさガーデニングのススメ 新版―失敗続きのガーデナーが最後に開く本


ベランダはじめました。 小さなベランダを愉しむアイデアノート

三畳ガーデニング―こんな私の‘ベランダー’日誌

柳生真吾のがんばらないガーデニング―70点ガーデナーになろう! (別冊美しい部屋)


ケイ山田コンテナガーデンの教科書―長く咲き継がせる花鉢づくりのポイント (ベネッセ・ムック BISES BOOKS)


日陰の庭とベランダ園芸レシピ―春から秋から

日陰の庭のシェードガーデニング


日陰をいかす庭づくり (別冊NHK趣味の園芸)


狭さをいかす庭づくり (別冊NHK趣味の園芸)


日陰や狭い場所での簡単ガーデニング―あきらめていた花作りを始めよう! (主婦の友生活シリーズ)


あきらめていた狭いすき間でプチガーデニングを楽しむ―窓辺・玄関前・ベランダを植物で飾るアイデアを条件別に紹介 (ブティック・ムック (No.364))


小さな苔BONSAI―私のセンスで作りたい・飾りたいコケ盆栽 (Gakken mook)

苔とあるく

ベランダガーデニング植物ガイド―上手な植物選びで今すぐ庭づくり

ベランダガーデニングベストガイド

ベランダガーデニング スタイルブック


ベランダガーデニングスタイルブック 2―庭を愛でる幸せを生む、ガーデニングの本 (2) (白夜ムック Vol. 280)


ベランダガーデニングスタイルブック 3―植物を慈しむ心と幸せを導く、ガーデニングの本


ナチュラルガーデニング―思いを込めて私らしい庭に育てよう (Gakken interior mook)

花と暮らす、優しい毎日


ナチュラルガーデンをつくる宿根草 (別冊NHK趣味の園芸)

毎年花咲く宿根草花 (別冊NHK趣味の園芸)

タネまきから楽しい一年草・二年草 (別冊NHK趣味の園芸)
憧れのぼさセレクトBOOK
憧れなんだよ


ターシャ・テューダーのガーデン

ターシャの庭

ターシャの庭づくり

ターシャの輝ける庭

ターシャの喜びの庭

ポール・スミザーのナチュラル・ガーデン

ケイ山田のイングリッシュガーデン―庭はもう一つの部屋

英国で一番美しい村々コッツウォルズ (ショトルトラベル)

パリのテラス

パリのナチュラルガーデン

パリジャンたちの庭と花

イングリッシュガーデンの愉しみ
×

[PR]上記の広告は3ヶ月以上新規記事投稿のないブログに表示されています。新しい記事を書く事で広告が消えます。

ぼちぼち冬に植えた植物の徒長が気になってくる季節だよ
開花中のものに鋏を入れるはしのびなく
どうしても手加減しがちになるんだけど
デロデロと締まりのないパンジーやらアリッサムを
こざっぱりさせることにしたよ

05-01.jpg



05-02.jpg

左のジュリアンにはもう花芽がないんだけど
青々した葉を見ると撤去しづらくて
とりあえずはそのままにしてあるよ

05-03.jpg

この辺りも少しだけスッキリしたよ
花が散り切った姫空木は移動して
花芽が伸びてきたラベンダーを持ってきたよ
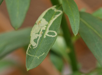
左の方に、この間紹介した金魚草が写っているけど
エカキムシにまたやられているよ

5192edba.jpg

奴らも生きることに必死だろうけど
「許すまじ」の精神で執拗に排除しているよ
アブラムシも隙を見て繁殖アタックをかけてくるし
ナメクジの活動も本格化してくる季節だから
常に臨戦態勢で臨む所存だよ


ぼさんこガーデニング環境詳細はこちら

コメントをしていただく前にご確認を
 
PR
前回の報告から半月あまり経ったわけだけど
そろそろ支柱を入れないとヤバイくらいになってきているよ

63a0d814.jpg

背後の(薄汚れた)壁の高さが2mくらいなんだけど
去年はそれより高い位置で花が咲いたから
今年もまだまだ伸びるはずだよ
この他に3鉢あったうちの大き目のものは親戚にあげたけど
あとの2鉢は写真手前の小さい方と同じくらいまで育っているよ

これまであちこち鉢を動かしてきたけど
開花が終わるまではここが定位置になるよ
他人にはどうでもいい情報だよ


ぼさんこガーデニング環境詳細はこちら

コメントをしていただく前にご確認を
 
7fe86e09.jpg

乙女桔梗はその名の通り小さな桔梗のような花だよ
流通名が『ベルフラワー』なんだよ
雨に当たると花がダメになっちゃうから
開花の時期は日当たりのある軒下に置いたほうがいいみたいだよ

2年前に買ってきたときはこんなかんじ↓だったよ

03-2.jpg

それが3年目を迎えて株がこんなに大きくなったんだよ

42a11927.jpg

満開になっていた花がいっせいに萎れてきて
花柄を450個も(数えながら)摘んだのに
まだこんなに花が残っているんだよ
満開時には1000輪くらい咲いていたんじゃないかと思うよ

ジメジメしているより乾燥気味が好きで
根本の葉は間引いて風通しをよくした方がいいらしいよ
うちのは自然に真ん中がすいてドーナツ状になっているので
それなりに風が通っているんだと思うんだけど
たまにナメクジがいるところを見ると
ジメっているのかもしれないよ……

茎が伸びすぎてダレてきたら刈り込んでもいいみたいだよ
その後に肥料を薄めに与えると秋にも咲くんだよ

寒くなってくると葉が枯れこんで株も小さくなるけど
冬の間も日に当てて適度に水遣りをしていると
春になってワサワサと繁り始めるよ


*****ぼさんこ覚え書*****

乙女桔梗(オトメギキョウ)※流通名はベルフラワー
耐寒性宿根草
草丈:10cm程度
花径:20mm程度
開花期:4~6月
増やし方:株分け
株分け時期:3月、10月中旬~11月
植え替え時期:株分けの時期に順ずる
その他の特性:日当たり好きで、多湿&多肥を嫌う
花言葉:感謝、誠実

************************



ぼさんこガーデニング環境詳細はこちら

コメントをしていただく前にご確認を
 
e9f6c40f.jpg

去年の暮れに植えつけたときについていた蕾が咲き終わってから
真冬の間は花がつかずにいたんだけど
気温が上ってきたら草丈もグンと伸びて
ワラワラと金魚が群れるように開花中だよ
ひとつの株から思っていたよりもボリュームが出て
まとめて何株か植えたらさぞ綺麗なことだろうと思うよ
知らずに買ったんだけど背が高くなるタイプで
花色も豊富で切花としても人気らしいよ

ガーデニングシーズンは虫との闘いでもあるんだけど
金魚草はぼさんこガーデンの他のどの植物よりも
エカキムシに好まれているんだよ
「少しくらいなら食べさせてあげてもいいや」なんて仏心を出したら
「いいんすか?じゃ、遠慮なく」とばかりに
バカスカ食われて悲惨な状況になってきたので
食われた葉を取り去って被害の拡大を防いだよ
防いだよ、って偉そうに言ってるけど後手後手に他ならないよ

真夏の直射日光が苦手らしいけど
初夏の開花期の後に切り戻して夏越しに成功したら
秋にもまた花が咲くらしいよ


*****ぼさんこ覚え書*****

金魚草(キンギョソウ)
耐寒性一年草(本来は多年草)
草丈:15cm~120cm程度
花径:30~50mm程度
開花期:3~6月、9~10月
増やし方:種まきや挿し木
種蒔き時期:4月(寒冷地)、9~10月中旬(秋の方がよく育つ)
植え替え時期:3~4月、10月下旬~11月上旬
その他の特性:種を蒔くときは覆土は一切しない
花言葉:おしゃべり、純真な心、仮定、推測、予知

************************



ぼさんこガーデニング環境詳細はこちら

コメントをしていただく前にご確認を
 
d9832252.jpg

八重咲き品種の西洋オダマキ『ウィンキーダブル』だよ
大きめのプランターに他の植物と寄せ植えして
2年目には株が大きくなったんだけど
花が先祖帰りみたいなことになっちゃって

05-5.jpg

こんなグレた感じになっちゃったんだよ
寄せ植えの状態で株が成長して風通しに問題が発生したのか
葉がうどんこ病みたいに白くなっちゃったから
去年の秋だったか、ずいぶん大胆に刈り込んだんだよ
春に新芽が出てくるのか心配だったんだけど
なんとか復活して花も一年目のビジュアルを取り戻したよ

この他に八重咲きじゃない品種もあるんだけど
あまりにも繁殖力が旺盛なのでほとんど放任だよ
花が咲き終わったのを放置しておくと種ができて
それが勝手にこぼれて株を増やしてワッサワサになったよ
ものには限度があると思ったから少し整理して
貧相なくらい小さい株に分けて適当に植えたのに
全く意に介さず完全復活で花を咲かせているよ

種が発芽しにくいとか株分けで機嫌が悪くなるとか
本当は気を遣わなきゃいけないみたいなのに
ぼさんこガーデンは何か異常な環境なのかもしれないよ


*****ぼさんこ覚え書*****

西洋苧環(セイヨウオダマキ)ウィンキーダブル
耐寒性多年草(高温多湿地域では一年草)
草丈:70cm程度
花径:20~30mm程度
開花期:初夏
増やし方:種まきや株分け
種蒔き時期:4~6月、9~10月
株分け時期:3月頃が適期
植え替え時期:3月、9月中旬~10月
その他の特性:わりと日陰好き
花言葉:贅沢、必ず手に入れる、別れた恋人、愚者

************************



ぼさんこガーデニング環境詳細はこちら

コメントをしていただく前にご確認を
 
04-6.jpg

4年くらい前にもらったエビネが今年も咲いたよ
小さめの平鉢に2~3株植わっていて
もらってから一度も植え替えてないから根が回っちゃって
用土の上にはみ出ているというような
ものぐさな管理をしているよ

本当は水遣りとか施肥とか遮光とか
なにかと世話をすべき絶滅危惧種なんだけど
そんな過酷な管理下のぼさんこガーデンでも
絶滅することもなく健気に毎年咲いているんだよ

今年は大きい鉢に植え替える予定だよ
株分けをするときには『バックバルブふかし』という
技を使うらしいんだよ
このサイトさんが詳しいよ)
バックバルブふかし……強そうな技だよ


*****ぼさんこ覚え書*****

エビネ
多年草
草丈:20cm~60cm程度
花径:20mm程度
開花期:3月中旬~5月中旬
増やし方:株分け
植え替え時期:5月(花後)、9月中旬~10月上旬
その他の特性:直射日光は苦手
花言葉:誠実、謙虚

************************



ぼさんこガーデニング環境詳細はこちら

コメントをしていただく前にご確認を
 
≪ Back   Next ≫

[2] [3] [4] [5] [6] [7] [8] [9] [10] [11]

Copyright c bossa部。。All Rights Reserved.
Powered by NinjaBlog / Material By 深黒 / Template by カキゴオリ☆
忍者ブログ [PR]